Este martes se mantendrán las lluvias, acompañadas de tormentas eléctricas y ráfagas de viento, principalmente, en localidades del suroeste, la cordillera Central y el sureste del país, así como oleaje y vientos peligrosos en las costas, debido a los efectos indirectos del huracán Melissa.
Según el Instituto Dominicano de Meteorología (Indomet), el huracán Melissa continúa incidiendo, de forma indirecta, sobre el territorio nacional.
La institución explicó que, durante las horas matutinas de este martes, persistirán las precipitaciones, en provincias como Pedernales, Barahona, Azua, Bahoruco, Independencia, San Juan, San José de Ocoa, Peravia y San Cristóbal, así como en el Gran Santo Domingo.
En horas de la tarde y la noche esta actividad lluviosa continuará afectando las provincias antes mencionadas, y se extenderá hacia San Pedro de Macorís, Monte Plata, Hato Mayor, Monseñor Nouel y Sánchez Ramírez, entre otras.
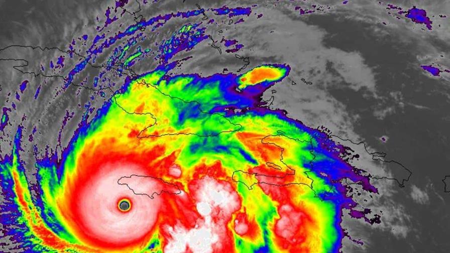
“Melissa seguirá aportando campos nubosos y de acuerdo con las imágenes satelitales y de los radares de Punta Cana y de Puerto Plata, el territorio dominicano se mantiene mayormente nublado, con lluvias y posibles tormentas eléctricas hacia toda la franja costera sur, el suroeste, noreste y la vertiente sur de la cordillera central”, indicó la entidad.
Condiciones marítimas
Para la costa caribeña, específicamente, desde Cabo Beata (Pedernales) hasta Punta Salinas (Baní), el Indomet recomienda a los operadores de frágiles, pequeñas y medianas embarcaciones, permanecer en puerto, debido al oleaje y a los vientos peligrosos.
En la costa atlántica, desde Montecristi hasta Puerto Plata, se sugiere navegar cerca del perímetro costero, mientras que, los demás sectores de ambas costas se mantienen en condiciones normales.
El Indomet exhortó a la población a mantenerse atenta a los próximos boletines oficiales, y a seguir las orientaciones de los organismos de protección civil.
Evolución y trayectoria de Melissa
El poderoso huracán Melissa, categoría 5 en la escala Saffir-Simpson, se localiza a unos 180 km al oeste/suroeste de Kingston (Jamaica), y a unos 465 km al suroeste de Guantánamo (Cuba), desplazándose hacia el nor/noreste, a 7 km/h, con vientos máximos sostenidos de 280 km/h, y ráfagas superiores.
